Ben M’Sick : voici à quoi ressemblera le pôle urbain “Al Wahda Al Ifriquia”, créateur de plus de 20.000 emplois
EXCLUSIF. À l’occasion de sa session ordinaire d’octobre, le conseil de la ville de Casablanca a adopté le projet de cahier des charges relatif à la réalisation du nouveau pôle urbain de Ben M’Sick, appelé à générer plus de 20.000 emplois. Voici à quoi ressemblera ce projet ambitieux.
Le pôle urbain Al Wahda Al Ifriquia. Comparable à Casa Nearshore, ce futur pôle est très attendu par les habitants de Sidi Othmane, Al Fida et Ben M’Sick, car il "améliorera considérablement leur qualité de vie", a assuré la maire de Casablanca. "Ce projet, qui s’inscrit dans une logique d’équité territoriale, vise également à transformer l’image de ces quartiers populaires".
Lors de cette session tenue le 7 octobre, la maire de Casablanca a présenté ce projet comme l’un des plus importants et structurants pour le Grand Casablanca.
"Baptisé 'Al Wahda Al Ifriquia', ce projet s’étendra sur une superficie de 15 hectares, entre le boulevard Al Wahda Al Ifriquia et le boulevard Abdellah Senhaji, à proximité du boulevard Mohammed VI et de la ligne 3 du tramway", a précisé Nabila Rmili.
"Le pôle comprendra huit unités économiques, permettant la création de plus de 20.000 emplois directs et indirects. Il intégrera également une dimension environnementale forte, avec une large place accordée aux espaces verts et aux zones paysagées, en harmonie avec les bâtiments à vocation économique", a-t-elle souligné.
Voici où se situera ce nouveau pôle urbain
Selon nos informations, le site du projet se trouve dans la zone appelée "Ifriquia" à proximité d'un quartier dense et populaire. Il est situé à la jonction de trois arrondissements (Ben M'sick, Aïn Chock et Al Fida), et bénéficie donc d'une connexion optimale aux réseaux de mobilité locale et régionale.
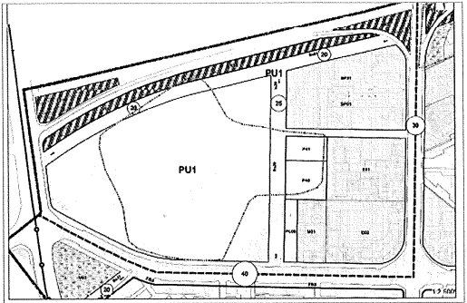
Plus précisément, il se situe sur le périmètre du secteur PU1 de Ben M'Sick, couvrant une superficie d'environ 15 hectares. Cette zone occupe une position stratégique à l'extrémité nord-ouest de la préfecture d'arrondissement de Ben M'Sick.
Le projet urbain "Al Wahda Al Ifriquia" sera implanté sur une emprise de 7,6 hectares. Il est bordé au sud par l'avenue Al Wahda Al Ifriquia et à l'est par le boulevard Abdellah Senhaji. L'accessibilité du site est grandement facilitée par la présence d'importantes infrastructures routières, notamment la rocade urbaine A1 et l'avenue Mohammed VI, garantissant une excellente desserte. Il est desservi à l'est par la ligne de tramway T3 et la ligne de bus L011, et au sud par la ligne de bus L079.
Ben M'Sick, un futur hub technologique et commercial de nouvelle génération ?
L'ensemble du foncier du secteur PU1 de Ben M'sick servira donc de support à ce projet urbain, nous apprend-on. Ce dernier regroupe actuellement en son sein des équipements publics existants et projetés par le plan d'aménagement de l'arrondissement de Ben M'sick.
Ces projets se déclinent comme suit :
- l'école Chaim Al Hamra, sur une surface de 1,2 ha ;
- le lycée Ben M'sick, sur une surface de 1,2 ha ;
- le complexe sportif de l'arrondissement, sur une surface de 2,2 ha ;
- la mosquée Lalla Aïcha, sur une surface de 0,4 ha ;
- un équipement public à créer sur une surface de 0,4 ha ;
- un équipement public à créer sur une surface de 0,2 ha ;
- une place à aménager sur une surface de 0,2 ha.
Il est à noter que, selon l'article 35 du règlement du plan d'aménagement dudit arrondissement, homologué par le décret 2.22.1041 du 26 janvier 2023, l'ouverture à l'urbanisation totale ou partielle de cette assiette foncière (PU1) nécessite la réalisation d'une étude à effectuer par les services de l'Agence urbaine de Casablanca (AUC).
Cette étude doit par la suite être approuvée dans le cadre d'une commission préfectorale, composée du gouverneur de la préfecture de l'arrondissement de Ben M'Sick, du gouverneur directeur de l'AUC, du président du conseil communal de Casablanca et du président de l'arrondissement de Ben M'Sick. Cette commission peut demander les avis de tout service qu'elle jugera utile.
"Ce projet doit être réalisé pour recevoir un programme mixte constitué d'équipements collectifs à thématiques variées ainsi que des activités commerciales et de services pouvant favoriser le développement socio-économique du territoire de l'arrondissement de Ben M'Sick, en tant que nouvelle centralité dédiée aux services technologiques et commerciaux de nouvelle génération", nous explique-t-on.
Des fonctions tertiaires, des équipements diversifiés, des espaces verts et un parcours sportif
Ce projet urbain s'organisera, selon nos informations, autour d'un espace central se présentant sous forme d'une "agora", entourée de fonctions variées et intégrées dans un environnement entièrement piéton, principe fondamental du projet.
L'objectif de la commune est de créer un lieu de vie dynamique, accessible à tous, conçu en faveur des interactions sociales tout en intégrant pleinement le concept de mobilité douce.
Le projet comprendra principalement des fonctions tertiaires, des équipements diversifiés, des espaces verts et un parcours sportif. Cet espace central vert, "rare dans un secteur densément urbanisé", se combinera avec un système intégré de services – culture, commerce, accueil et travail – renforçant ainsi l'importance métropolitaine du lieu.
La commune y prévoit également la réalisation d'une promenade publique profitant en premier lieu aux habitants de l'arrondissement de Ben M'Sick. Elle sera répartie sur trois bandes principales, à savoir une bande piétonne, une bande hybride pour cyclistes et coureurs, et une troisième bande à vocation technique, prévue pour accueillir le mobilier d'éclairage public et les bornes signalétiques.
Des jardinières et des assises seront également mises en place. L'ensemble sera ombragé grâce à une large canopée, formée de platanes. Quant à la question du stationnement, il sera totalement prohibé en surface à l'intérieur du projet.
Des bâtiments atteignant jusqu'à 14 étages
En termes de constructibilité, le coefficient d'utilisation des sols (CUS) global des huit îlots prévus pour être développés autour de l'agora est fixé à 29,5% avec un coefficient d'occupation des sols (COS) de 2.
Les espaces publics résultant de cette répartition spatiale, qu'ils soient minéraux ou végétalisés, se déploieront sur une superficie globale de 39.160 m² y compris les cœurs d'îlot.
À cela s'ajouteront les espaces verts structurant les allées commerciales et le périmètre de l'agora, totalisant 2.000 m².
Selon nos sources, les bâtiments qui seront construits dans ce pôle urbain atteindront jusqu'à 14 étages pour certains (R+14).
LIRE AUSSI
À découvrir
à lire aussi
Article : Le Maroc face au risque d’une inflation alimentaire diffuse et composite
Alors que les instances internationales s'inquiètent d'un nouveau choc systémique mondial lié aux tensions géopolitiques, le Maroc navigue entre une campagne agricole prometteuse et des goulots d'étranglement logistiques nationaux. Si le blé tendre reste sous protection, les filières animale, sucrière et oléagineuse demeurent exposées à une inflation de second rang et à une saturation portuaire qui grignote les marges de manœuvre. Analyse.
Article : Pourquoi le taux d’inflation ne reflète pas toujours le vécu des ménages
Au Maroc, l’inflation ralentit, mais les ménages continuent de ressentir la hausse des prix et la pression sur leur pouvoir d’achat. Cet écart vient surtout d’une lecture incomplète du taux d’inflation, ainsi que de la nature même du panier représentatif utilisé pour mesurer l’évolution des prix.
Article : Intelcia : Karim Bernoussi et ses partenaires reprennent 100% du capital, sortie d’Altice
Le 28 avril, les deux cofondateurs du groupe, Karim Bernoussi et Youssef El Oufir, doivent finaliser le rachat des 65% du capital détenus par le groupe Altice, dont ils n'avaient conservé que 35% lors de l'entrée du partenaire français en 2016. Une opération qui redonne à ce fleuron de l'économie marocaine sa pleine liberté de manœuvre, au moment précis où son secteur est traversé par la déferlante de l'intelligence artificielle. Karim Bernoussi, PDG du groupe, était l'invité du 12/13 de Médias24.
Article : L’Oukaïmeden, station d’hiver et espace culte de transhumance
Alors que l’Oukaïmeden est appelé à devenir une station touristique quatre saisons à l’horizon 2027, l’anthropologue Mohamed Mahdi rappelle que ce territoire ne peut être réduit à un site de loisirs. Agdal pastoral, espace de transhumance, réservoir de biodiversité et patrimoine culturel amazigh, l’Oukaïmeden impose une approche de développement intégrée, capable de concilier tourisme, pastoralisme et préservation des équilibres sociaux et écologiques.
Article : La météo pour le lundi 27 avril 2026
Voici les prévisions météorologiques pour le lundi 27 avril 2026, établies par la Direction générale de la météorologie.
Article : Plan d’aménagement de Marchica : un nouveau souffle socio-économique pour Nador et Beni Ensar
L'aménagement de la lagune de Marchica s’apprête à un nouveau chapitre. Au-delà des avancées de la première phase, il dessine une nouvelle transformation urbaine et touristique d'ampleur, de Nador à Beni Ensar, jusqu'au village d'Arkman. L’enquête publique s’est achevée vendredi.



